3519 Arboretum View
Charlotte, NC
$1,180,000
Details & Amenities
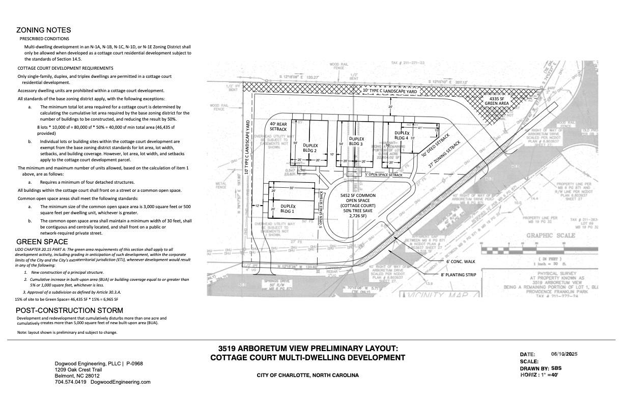
This undeveloped 1.2 acre property is located directly across from The Arboretum on Pineville-Matthews Road, offering a rare investment opportunity consisting of two prime lots sold as a single acquisition. The site is characterized by mature trees and its proximity to an established neighborhood, balancing a quiet setting with immediate access to major retail, dining, and transportation corridors leading to Uptown Charlotte.
The seller commissioned Tim Finein of Peadon Finein and Sarah Stewart of Dogwood Engineering to conduct a proposed site plan for the combined parcels. Based on City of Charlotte setback requirements and design standards, it has been determined that the site can potentially accommodate 8 townhomes using a Cottage Court design layout. Initial meetings with City of Charlotte staff regarding this specific density and site use have resulted in positive feedback. This listing represents a high potential development opportunity in a core Charlotte location with preliminary due diligence already in place.
Property Type:
Land
Map
This property is a listing of Keller Williams Connected.Listings courtesy of Canopy MLS as distributed by MLS GRID.
© 2026 Canopy MLS. All rights reserved.
Claims of Copyright Infringement & Related Issues (17 USC § 512 et seq.)
