539 Neely Road
Rock Hill, SC
$2,800,000
Details & Amenities
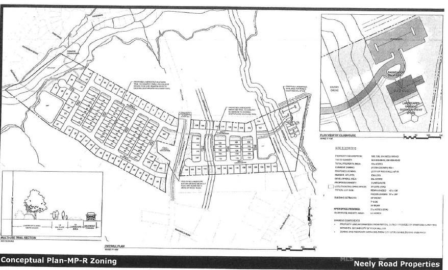
Prime Development Opportunity: 60 Acres of Land for Subdivision!
Discover your chance to create a thriving community in this 60-acre canvas that beckons to be transformed into a thriving community. Located in south Rock Hill, with easy access to schools, shopping, and just 20 miles from Charlotte. The property features a mix of open fields and wooded areas, and recreational facilities, providing endless possibilities for residential development. Less than 1 mile from South Pointe High School and less than 5 miles to interstate I-77.
Imagine a neighborhood of CITY-APPROVED MASTER PLAN of 150 homes, complete with green spaces, club house, pool, and modern infrastructure. Zoning is in place for a subdivision project, making this land a rare gem for seasoned developers looking to make their mark.
Property Type:
Land
Map
This property is a listing of Keller Williams Connected.Listings courtesy of Canopy MLS as distributed by MLS GRID.
© 2026 Canopy MLS. All rights reserved.
Claims of Copyright Infringement & Related Issues (17 USC § 512 et seq.)
