6713 NC 150 Highway
Sherrills Ford, NC
$599,000
Details & Amenities
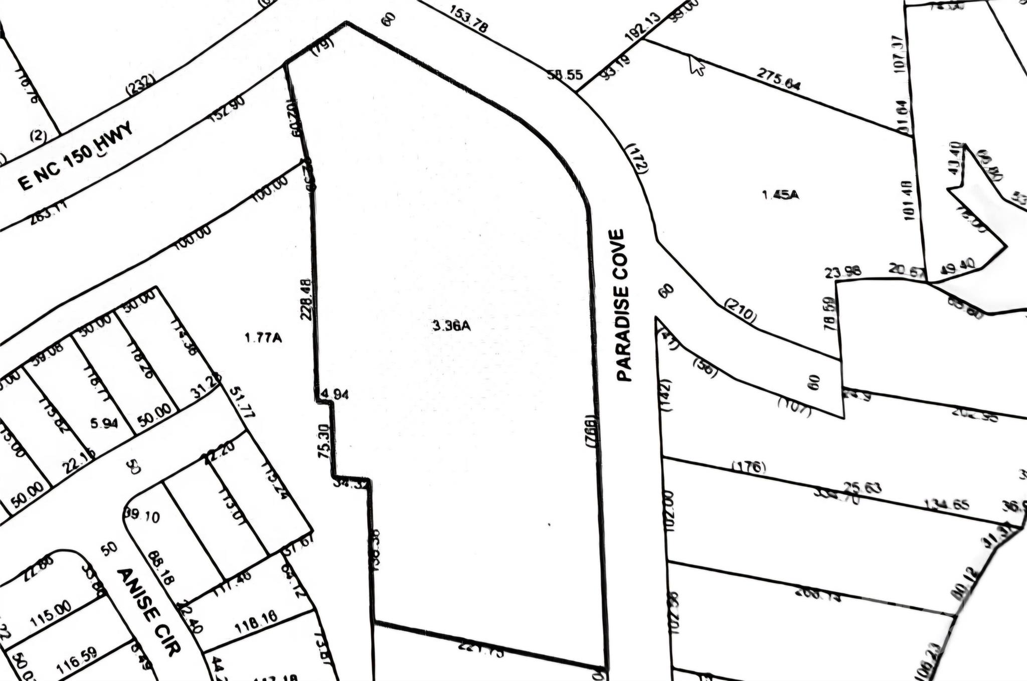
Great development opportunity on busy NC 150 Hwy near Lake Norman, and in a growing residential and business area. Partially cleared 3.36 acres with road frontage on Hwy 150 and Paradise Cove. Ready to be put to use.
Property Type:
Land
Map
This property is a listing of Premier South.Listings courtesy of Canopy MLS as distributed by MLS GRID.
© 2026 Canopy MLS. All rights reserved.
Claims of Copyright Infringement & Related Issues (17 USC § 512 et seq.)
