Enchanted Way
Denver, NC
$199,000
Details & Amenities
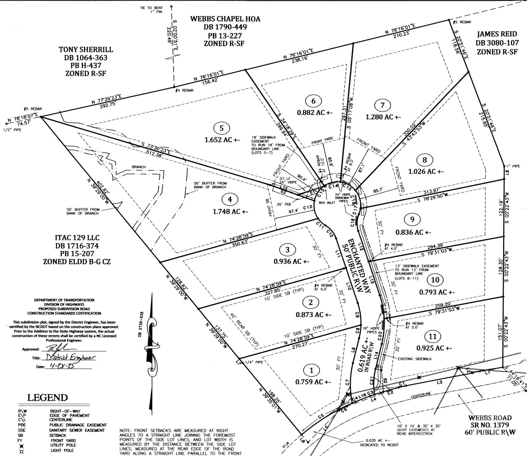
Discover Webb Forest Estates of Lake Norman on Enchanted Way —11 wooded lots ranging from 0.75–1.75 acres off Webbs Rd in Denver, NC. Combine 2 or more lots together for a 2-3+ acre parcel if you like. Just minutes to Lake Norman public boat access at Burton Lane, Westport Golf Club, and Beatty’s Ford Park, with easy commutes via NC-16 to Charlotte, Hickory, and Mooresville. Each lot offers privacy, and paved road frontage. The subdivision has a sidewalk. Located in the sought-after North Lincoln school district. No time limit to build—bring your builder and create your dream home in this prime Lake Norman location. 11 separate deed restricted No HOA Lots. PLATTED 11 Lot Subdivision. Custom Upscale. Builders Welcome. Webb Forest Estates of Lake Norman. Power installed. Well and Septic needed. Seller guarantees the lots perc or all deposits returned.
Property Type:
Land
Map
This property is a listing of FK and Associates Real Estate Firm.Listings courtesy of Canopy MLS as distributed by MLS GRID.
© 2025 Canopy MLS. All rights reserved.
Claims of Copyright Infringement & Related Issues (17 USC § 512 et seq.)
