000 Stevens Road
Monroe, NC
$230,675
Details & Amenities
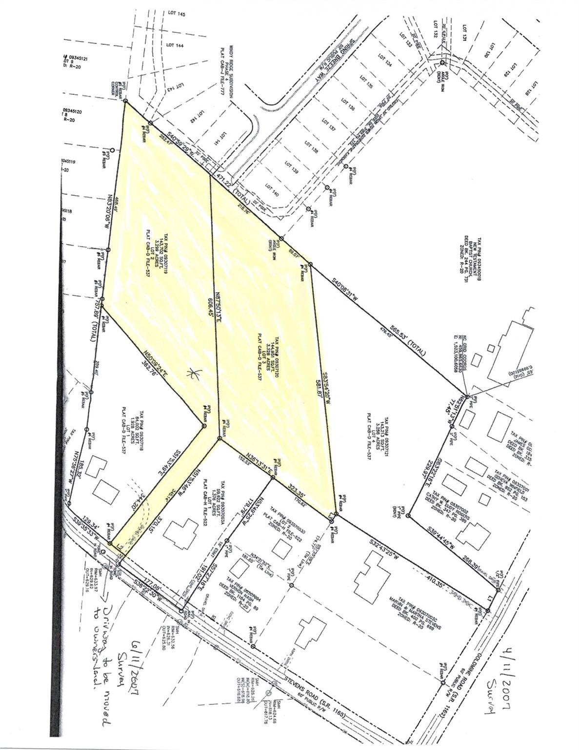
Large level wooded lot to be sold with adjoining 3.3 acre parcel (MLS # 4180334) for small development or private retreat. Sellers have acquired a concept plan through an engineering firm to demonstrate how the buyer can get 10 lots for homes on the combined tract. Plan incorporates Monroe's requirements but buyer is not limited to use of this layout. Homes in adjoining development are selling in the $400's - the hottest price point in current market. Water and sewer access is close by and may be extended into the site. Buyer should verify details and requirements for water and sewer access with the City. This parcel can be accessed from Stevens Road but more desirable access is through the cul de sac of Spring Breeze way in the Windy Ridge subdivision. Sign is posted there. Combined price for both tracts is $461,340. Don't let this opportunity get away!
Property Type:
Land
Map
This property is a listing of Paxton Properties.Listings courtesy of Canopy MLS as distributed by MLS GRID.
© 2025 Canopy MLS. All rights reserved.
Claims of Copyright Infringement & Related Issues (17 USC § 512 et seq.)
