TBD Stevens Road
Monroe, NC
$230,675
Details & Amenities
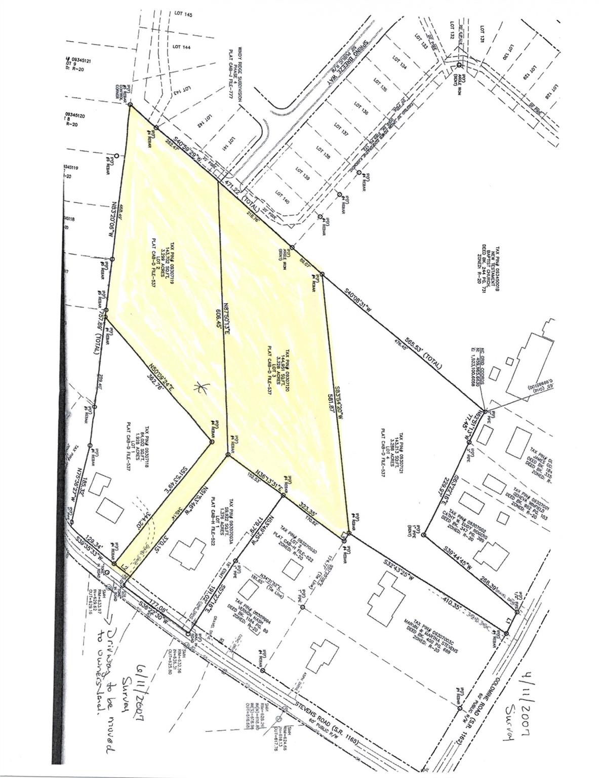
Large level lot adjoining existing Windy Ridge subdivision is ideal for small development. Property to be sold with parcel # 09307119 for total of 6.62 acres but please note they are priced separately. Combined price is $461,340. Sellers have acquired a concept plan through an engineering firm to demonstrate how 10 lots for homes can be laid out. Buyer. Buyer is not limited to this design if a different plan is desired. and could be used as a private retreat for a single home. Water and sewer access from Spring Breeze Way may be extended into the site. Buyer should verify details and requirements for water and sewer access with City. Sign posted at end of Spring Breeze Way cul de sac for ease in locating property. The adjoining lot has access from Stevens Road but there is no sign posted on that side.
Property Type:
Land
Map
This property is a listing of Paxton Properties.Listings courtesy of Canopy MLS as distributed by MLS GRID.
© 2025 Canopy MLS. All rights reserved.
Claims of Copyright Infringement & Related Issues (17 USC § 512 et seq.)
