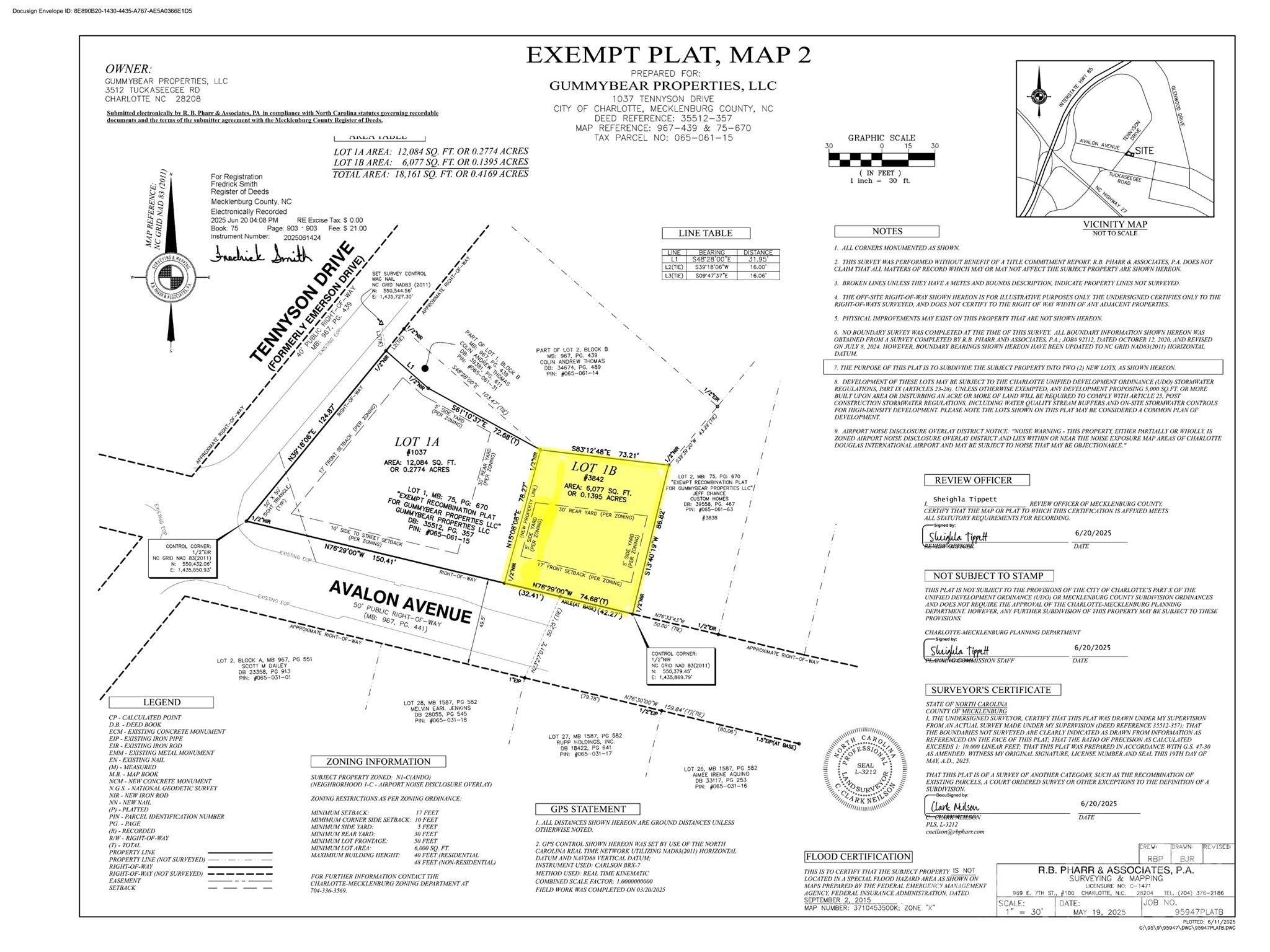
3842 Avalon Avenue
Charlotte, NC
$225,000
Details & Amenities
ATTENTION custom home buyers, investors and builders! Opportunity to purchase vacant lot in rapidly developing Enderly Park! Freedom to design your own single family custom home or DUPLEX! This is one of 5 lots in a row on Avalon Ave. ready for new construction builds! Two homes already completed, 3 available lots remaining, all of which can support a duplex or single family home. Countless other new construction builds completed in the immediate area. This section of lots/homes is located in a pocket of Enderly Park that is seeing heavy revitalization and is only a moment away from all the Freemore West and Thrift Road development action; coffee shops, restaurants & bars, Coterie Wellness Studio, Xgolf, Lucky Dog Bark & Brew, local shops, Savona Mill and more! See MLS #4307948 for the option to pre-purchase the already developed single family house plan to-be-built by Forte Builders on this lot. Polaris/GIS boundaries for this lot not updated yet, refer to edited Polaris screenshot showing 3 available lots and this lot highlighted. Agent has interest.
Property Type:
Land
Map
This property is a listing of 5 Points Realty.Listings courtesy of Canopy MLS as distributed by MLS GRID.
© 2025 Canopy MLS. All rights reserved.
Claims of Copyright Infringement & Related Issues (17 USC § 512 et seq.)
