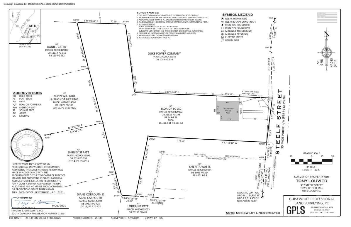
307 Steele Street
Fort Mill, SC
$97,500
Status: Active
Beds: 2
Full Baths: 1
Sq ft: 780
Sub Division: None
Elementary School: Unspecified
Middle School: Unspecified
High School: Unspecified
Year Built: 1930
Acerage: 0.584 Acres
MLS #: 4318363
Status: Active
Facebook Twitter Pinterest Instagram eMail To

Details & Amenities

What an opportunity to build your own home on Steele Street in Fort Mill! Bring your plans and designs. Seller is providing a recent survey and value is in land only. Fantastic opportunity to get into Fort Mill school district. Cash sell only due to condition.
Property Type:
Residential


Map
This property is a listing of Keller Williams South Park.
Listings courtesy of Canopy MLS as distributed by MLS GRID.
© 2025 Canopy MLS. All rights reserved.
Claims of Copyright Infringement & Related Issues (17 USC § 512 et seq.)