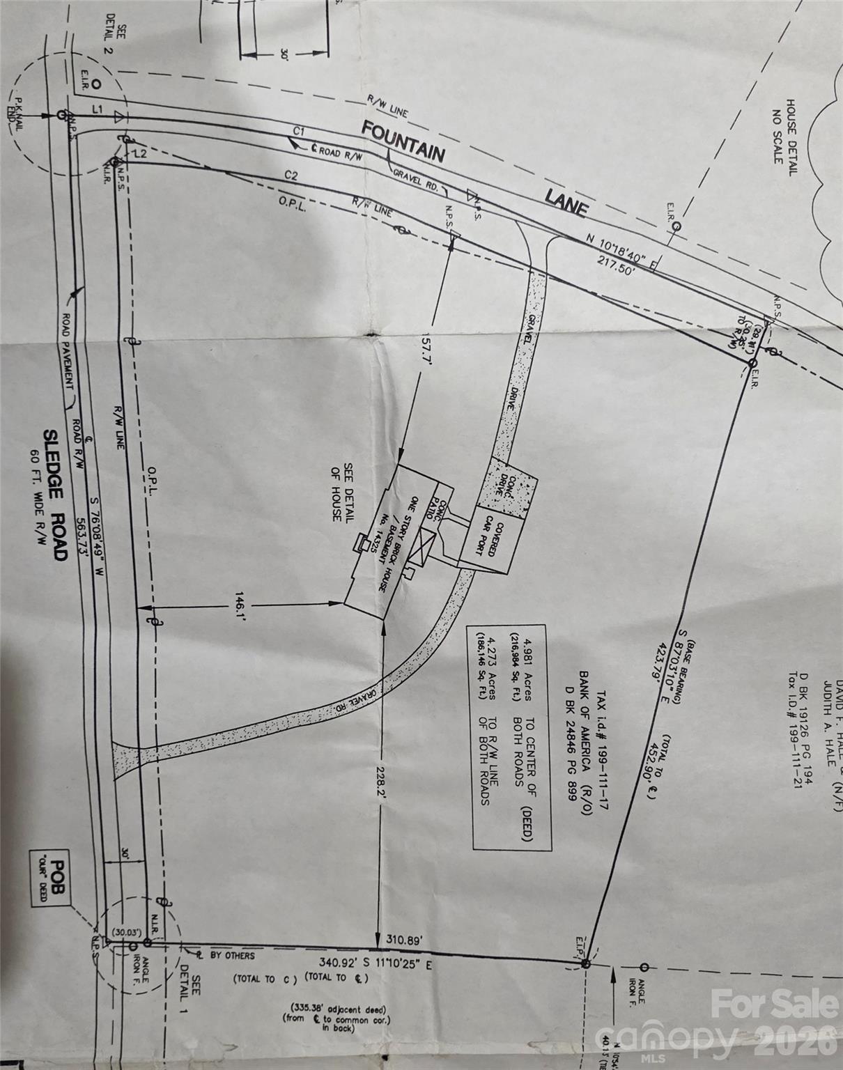
14325 Fountain Lane
Charlotte, NC
$1,500,000
Details & Amenities
Large brick home situated on +/-5 acres of land in Mecklenburg county.
Opportunity awaits...up to your imagination.
Property Type:
Residential
Map
This property is a listing of TT Realty & Investment Group.Listings courtesy of Canopy MLS as distributed by MLS GRID.
© 2026 Canopy MLS. All rights reserved.
Claims of Copyright Infringement & Related Issues (17 USC § 512 et seq.)
