2905 Vestal Place
Charlotte, NC
$68,500
Details & Amenities
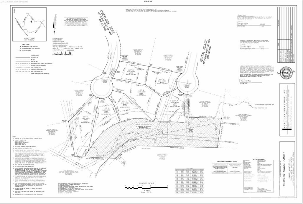
Builders take note, single family or duplex lots . Just recently surveyed and released 5 cul-de-sac lots. This is 5 new lots in the neighborhood of Stoneridge. No found CCR's
1 Lots on Vestal Place and 4 on Overlook Trail, Located just off of Idlewild Rd. Survey and soil test available. Several of the sites are basement lots. Water and Sewer taps fees will be required. Survey attached.
Address and parcel numbers are below.
2834 Overlook Trail 0.206 acres Tax Id- 16520218, Lot 2
2840 Overlook Trail 0.185 acres Tax Id- 16520217,Lot 3
2900 Overlook Trail 0.277 acres Tax Id- 16520216, Lot 4
2908 Overlook Trail 0.166 acres Tax Id- 16520215, Lot 5
2905 Vestal Place 0.199 acres Tax Id- 16520214, Lot 6
Property Type:
Land
Map
This property is a listing of Cole Real Estate Advisors.Listings courtesy of Canopy MLS as distributed by MLS GRID.
© 2026 Canopy MLS. All rights reserved.
Claims of Copyright Infringement & Related Issues (17 USC § 512 et seq.)
